
EM Feiner Fantasy
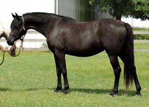
Known as Fancy, this Elite Hanoverian Mare is by Feiner Stern and out of Diende by Diamont. She is 16.2 hands and known for her quality, presence and movement.
Hanoverian, Knabstrupper and Arabian sport horses bred for dressage and show jumping.
Sonesta Farms has bred top quality Hanoverian, Knabstrupper and Arabian horses for dressage and show jumping. See some of the fine horses we have bred and sold as they have grown into wonderful show horses around the country.
A fabulous, extremely athletic homozygous black pure Polish Arabian stallion by the legendary Aladdinn and out of Fyre-Love, a champion Bask daughter. Fyre produced exquisite show Arabians and elegant sport horse crosses.
Apollon was the foundation sire of the Sonesta Farms Knabstrupper breeding program and one of the most important Knabstrupper stallions in North America.
Sonesta Farms has offered custom foal options for buyers who wanted a carefully planned sport horse without purchasing and maintaining a broodmare. The program allowed buyers to select from available mares and stallion options, with guidance based on conformation, movement and intended use.

Known as Fancy, this Elite Hanoverian Mare is by Feiner Stern and out of Diende by Diamont. She is 16.2 hands and known for her quality, presence and movement.

A 16.3 hand Hanoverian mare approved for breeding in major warmblood mare books. Diende produced multiple high-quality sport horse foals for Sonesta Farms.

A purebred black Arabian daughter of Fyre One, BF Moon Fyre competed successfully in open dressage classes against warmbloods.

A purebred black Arabian mare approved for breeding by the Oldenburg Verband and selected to add elegance and refinement to sport horse foals.
The Knabstrupper is a European warmblood horse from Denmark, known for Appaloosa-like coloring and sport horse ability. Sonesta Farms selected quality mares and bred some of the first Knabstrupper horses born in North America.